Tour Sainte Marie 1

Épave de navire
Présentation
Carte d'identité
Bibliographie
Médiathèque

En bref...

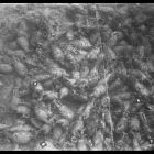
Vue sous-marine du tumulus d'amphores à sa découverte (Cliché Y. Chevalier © Y. Chevalier/DRASSM)

L’épave Tour Sainte Marie 1 se trouve sur la côte orientale du Cap Corse, entre l’îlot de la Giraglia et la Tour Sainte-Marie. Située à 55 m de profondeur, elle a bénéficié d’une des premières campagnes de fouilles scientifiques en France. Plus de 500 amphores datant du Ier siècle après J.-C., dans un état de conservation exceptionnel, ont été recueillies.

Histoire du site

Vue sous-marine des amphores dans le panier de levage (Cliché Y. Chevalier © Y. Chevalier/DRASSM)

L’épave de la Tour Sainte-Marie 1 est déclarée en 1967 par G. Drago et J. Polidori. Le site semblant particulièrement bien conservé, une campagne de fouille est organisée la même année afin de contrer les dangers d’un pillage. Un quadrillage fut ainsi posé sur l’épave afin de réaliser une couverture photographique minutieuse avant de remonter de façon systématique la totalité du tumulus.
Dans le cadre de la mission de la carte archéologique de la Corse, le DRASSM retourne sur le site en 2013 et 2014 pour de nouvelles campagnes de sondages mais aussi pour des prospections géophysiques menées en collaboration avec l’Université de Patras. L'objectif est alors de vérifier l’état de conservation de la coque et l’importance de la couche archéologique encore en place.

Cargaison, mobilier et vie à bord

Principaux types d'amphores découverts lors des fouilles (Cliché F. Laubenheimer, d'après Laubenheimer 1998, fig. 4 © F. Laubenheimer)

Le tumulus d’amphores semblait intact lors de sa découverte. Long d’environ 16 m et large de 4 m, il se compose d’amphores réparties suivant six principaux types, toutes provenant de Bétique, l’actuelle Andalousie. La majorité de ces amphores était dédiée au transport de poissons en morceaux ou en sauce. Seul un type de ces amphores est à associer au transport du vin cuit ou plus probablement des olives confites.
À l’issue des fouilles de 1967, 559 amphores ont été remontées, ainsi qu’un pelvis, un fragment de tuile et un fragment de dalle de schiste. Plusieurs bouchons ont été retrouvés au fond des amphores, probablement enfoncés sous l’effet de la pression.
La morphologie générale des amphores constitue le principal élément de datation du naufrage qui eut lieu dans les années 50-60 ap. J.-C.

Les lieux de production de certaines amphores identifiées dans le chargement sont aujourd’hui connus, permettant d’être plus précis quant à la provenance du navire. C’est le cas des formes Dressel 8 et Dressel 12 dont certains ateliers ont été découverts respectivement entre Cadix et Algésiras, dans le sud de l’Espagne. La présence de timbres identiques ou appartenant à la même famille sur ces deux types présents dans le chargement, ainsi que sur le type Dressel 7-11, permet de supposer que l’ensemble de ces amphores provient d’un même atelier situé dans cette région. Ces timbres comportent soit une lettre unique soit deux ou trois lettres ligaturées, toujours placés dans un cartouche circulaire situé au bas de l’anse. Cela concerne 330 amphores sur les 559 étudiées. Il est par conséquent probable qu’elles aient été embarquées dans le même port, à rechercher dans le sud de l’Espagne.
Un lot important d’amphores Haltern 70 complétait la cargaison. Le contenu de ce type d'amphore est aujourd’hui débattu entre le defrutum et les olives confites, peut-être dans du vin. Avec 182 exemplaires recensés, l'épave Tour Sainte-Marie 1 représente la plus importante cargaison connue pour ce type.
Si plusieurs épaves ayant eu pour point de départ la Péninsule ibérique sont aujourd’hui connues, l’originalité de celle de Tour Sainte-Marie 1 réside dans le fait qu’elle semble avoir emprunté un itinéraire bien différent, probablement pour rejoindre l’Italie. En effet, les épaves provenant de Bétique ont généralement été découvertes dans les bouches de Bonifacio (Lavezzi 1 et 2, San Perduto 2), trajet direct entre la Bétique et Rome. Elles sont en revanche plus rares au nord de l’île.

Le bateau et son gréement

En raison de sa grande profondeur, les fouilles de l’épave n’ont concerné que la partie supérieure du chargement, la coque n’ayant pas été atteinte. En 2013, les passages avec le sonar et avec le pénétrateur de sédiments ont permis de préciser les contours de la partie d’épave qui semble préservée sous une faible couche de sédiment.
Aucun matériel lié au gréement n’a été retrouvé.

Lieux d'exposition du mobilier

Musée de Bastia - Citadelle de Bastia, Place du Donjon - 20200 Bastia
Tél. : 04 95 31 09 12

Pour le dépôt de conservation du mobilier, s’adresser au DRASSM

 

Pays France
Aire marine protégée Parc Naturel Marin du Cap Corse et de l'Agriate
Département Haute-Corse
Commune Rogliano
Lieu-dit Pointe d’Agnello
Code EA 302017
Nature du site Épave de navire
Chronologie Antiquité
Indicateur de période Céramique
Structures -
Mobilier Amphores : Amphores Dressel 7-11, Haltern 70, Dressel 8, Dressel 12
Céramiques : Pelvis, fragment de tuile, mortier
Autre :
Lieu d'exposition Musée de Bastia; Haute-Corse
Contexte Géologie : sable
Situation : immergé
Profondeur : - 55 m
Historique des recherches Déclaration : 1967 - G. Drago et J. Polidori (découverte fortuite)
Expertise:
Opérations: 1967 - Fanette Laubenheimer (fouilles programmées) ; 2003 - Gilles de La Brière et Alain Meysen (prospections) ; 2013 - 2014 - Franca Cibecchini (prospections géophysiques et sondages)
Commentaires
Rédacteur

Bibliographie essentielle

  • LAUBENHEIMER Fanette, Une épave de Bétique au large du cap Corse. La Tour Sainte-Marie, in : J. Pérez Ballester et G. Pascual Berlanga (éd.), Puertos antiguos y comercio maritimo. III Jornadas de arqueología subacuática (Valencia, 13, 14 y 15 de noviembre de 1997), Valence, 1998, 313-328.
  • LIOU Bernard, Las ánforas béticas en el mar. Les épaves en Méditerranée à cargaison d’amphores de Bétique, in : Chic García Genaro et al., Ex Baetica Amphorae. Conservas, aceite y vino de la Bética en el Imperio Romano (Écija y Sevilla, 17 al 20 diciembre de 1998), Vol. III, Écija, 2000, p. 1061-1110.

Pour approfondir

  • CIBECCHINI Franca, Commerce : les voies maritimes, in : J. Cesari (éd.), Corse antique, Éditions du Patrimoine, Guides archéologiques de la France, 45, Paris, p. 46-51.
  • LIOU Bernard, Le commerce de la Bétique au Ier s. de notre ère. Notes sur l’épave Lavezzi 1 (Bonifacio, Corse du Sud), Archaeonautica, n° 10, 1990 , 125-155., Disponible en ligne
  • LIOU Bernard, DOMERGUE Claude, Le commerce de la Bétique au Ier s. de notre ère. Notes sur l’épave Lavezzi 2 (Bonifacio, Corse du Sud), Archaeonautica, n° 10, 1990 , 11-123
  • TCHERNIA André, Recherches archéologiques sous-marines, Gallia, n° 27-2, 1969, 465-499.

Photos

Vue sous-marine du tumulus d'amphores à sa découverte (Cliché Y. Chevalier © Y. Chevalier/DRASSM)
  Vue sous-marine du tumulus d'amphores à sa découverte (Cliché Y. Chevalier © Y. Chevalier/DRASSM) Vue sous-marine du tumulus d'amphores à sa découverte (Cliché Y. Chevalier © Y. Chevalier/DRASSM) Vue sous-marine du tumulus d'amphores à sa découverte (Cliché Y. Chevalier © Y. Chevalier/DRASSM) Vue sous-marine du tumulus d'amphores à sa découverte (Cliché G. Drago © G. Drago/DRASSM) Vue sous-marine du carroyage et des amphores (Cliché G. Drago © G. Drago/DRASSM) Vue sous-marine des amphores in situ (Cliché G. Drago © G. Drago/DRASSM) Vue sous-marine des amphores du carré 10 (Cliché G. Drago © G. Drago/DRASSM) Vue sous-marine des amphores du carré 9 (Cliché G. Drago © G. Drago/DRASSM) Vue sous-marine des amphores in situ (Cliché Y. Chevalier © Y. Chevalier/DRASSM) Vue sous-marine des amphores in situ à la découverte du site (Cliché Y. Chevalier © Y. Chevalier/DRASSM) Vue sous-marine des amphores in situ (Cliché Y. Chevalier © Y. Chevalier/DRASSM) Vue sous-marine d'un plongeur effectuant des mesures (Cliché Y. Chevalier © Y. Chevalier/DRASSM) Vue sous-marine de deux plongeurs mesurant le tumulus d'amphores (Cliché Y. Chevalier © Y. Chevalier/DRASSM) Vue sous-marine d'un plongeur effectuant des relevés topographiques (Cliché Y. Chevalier © Y. Chevalier/DRASSM)
  Vue sous-marine de trois plongeurs effectuant des relevés et mesures topographiques (Cliché Y. Chevalier © Y. Chevalier/DRASSM) Vue sous-marine de deux plongeurs effectuant des relevés et mesures topographiques (Cliché Y. Chevalier © Y. Chevalier/DRASSM) Vue sous-marine de trois plongeurs effectuant des relevés et mesures topographiques (Cliché Y. Chevalier © Y. Chevalier/DRASSM) Photogrammétrie du site (© Archives Drassm) Vue sous-marine des amphores dans le panier de levage (Cliché Y. Chevalier © Y. Chevalier/DRASSM) Vue sous-marine des amphores dans le panier de levage (Cliché Y. Chevalier © Y. Chevalier/DRASSM) Vue sous-marine de deux plongeurs au palier (Cliché Y. Chevalier © Y. Chevalier/DRASSM) L'Archéonaute sur le site (Cliché Y. Chevalier © Y. Chevalier/DRASSM) Vue du profil d'une amphore Dressel 6 (Cliché G. Bertucchi © G. Bertucchi/DRASSM) Vue de détail d'une estampille sur une amphore Dressel 12 (Cliché G. Bertucchi © G. Bertucchi/DRASSM) Vue de l'ensemble des amphores de la fouille au musée de Bastia (Cliché G. Bertucchi © G. Bertucchi/DRASSM)
  Vue d'une amphore Haltern 70 (Cliché Y. Chevalier © Y. Chevalier/DRASSM)
  Vue d'une amphore Dressel 2/4 italique (Cliché Y. Chevalier © Y. Chevalier/DRASSM) Vue de profil d'une amphore Dressel 2/4 italique (Cliché Y. Chevalier © Y. Chevalier/DRASSM) Vue du profil d'une amphore Dressel 7-11 (Cliché A. Tchernia © A. Tchernia/CCJ-CNRS) Vue d'une amphore Dressel 7-11 (Cliché A. Tchernia © A. Tchernia/CCJ-CNRS) Vue d'une amphore Dressel 7 (Cliché A. Tchernia © A. Tchernia/CCJ-CNRS) Vue d'une amphore Dressel 8 (Cliché A. Tchernia © A. Tchernia/CCJ-CNRS) Vue d'une amphore Haltern 70 (Cliché A. Tchernia © A. Tchernia/CCJ-CNRS) Vue d'une amphore Dressel 7 (Cliché A. Tchernia © A. Tchernia/CCJ-CNRS) Vue d'une amphore Dressel 7-11 (Cliché A. Tchernia © A. Tchernia/CCJ-CNRS)
  Vue de deux types d'amphore Haltern 70 (Cliché A. Tchernia © A. Tchernia/CCJ-CNRS) Vue du profil de deux types d'amphore Haltern 70 (Cliché A. Tchernia © A. Tchernia/CCJ-CNRS) Vue de dessus d'un pelvis (Cliché A. Tchernia © A. Tchernia/CCJ-CNRS) Vue d'une amphore Dressel 7/11 (Cliché J. Angles © J. Angles/DRASSM) Vue d'une amphore Dressel 12 (Cliché J. Angles © J. Angles/DRASSM) Vue d'une amphore Dressel 7 (Cliché J. Angles © J. Angles/DRASSM) Vue d'une amphore Dressel 7/11 (Cliché J. Angles © J. Angles/DRASSM) Vue d'une amphore Dressel 8 (Cliché R. Lequément © R. Lequément/DRASSM) Vue d'une amphore Pascual 1 (Cliché Auteur inconnu © Archives DRASSM) Vue d'une amphore Pascual 1 (Cliché Auteur inconnu © Archives DRASSM) Vue d'une amphore Dressel 7 (Cliché J. Angles © J. Angles/DRASSM) Vue d'une amphore Dressel 6 (Cliché Auteur inconnu © Archives DRASSM) Principaux types d'amphores découverts lors des fouilles (Cliché F. Laubenheimer, d'après Laubenheimer 1998, fig. 4 © F. Laubenheimer) Timbres sur amphores Dressel 7-11 à col large et sur amphores Dressel 12 provenant du même atelier (Dessins F. Laubenheimer, d'après Laubenheimer 1998, fig. 8 © F. Laubenheimer)